葡萄高氮肥拉穗技术要点

奥普乐农资2025-11-16 03:0286 阅读17 赞

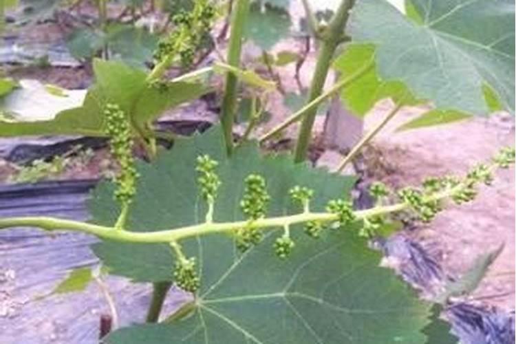
一、葡萄拉穗方法不对只能适得其反,应该如何正确拉穗?

13. 拉穗时,通常使用奇宝浓度为4万至5万倍,一般在花穗七至十公厘并分时使用,为了提高使用效果,用药后及时灌水并施用适量速效氮肥。14. 如果需要提高拉粒浓度,可以适当提高奇宝的浓度,一般配合吡效隆或噻苯隆混合使用,以促进纵向生长。15. 由于气温、阴晴天气和葡萄生长的差异,大面积使用药剂前应先进行小面积实验,以确定合适的浓度。大面积使用时...

葡萄拉穗方法不对只能适得其反,应该如何正确拉穗?

二、葡萄拉穗疏果方法 注意事项有哪些

1、拉穗是关键的一步。耳朵打开后很容易修复。开花前修复耳朵比较容易。花刚凋谢就可以修耳朵,但拖下来很难。如果耳朵拉不开,就要区分大小簇。如果用手把大簇捏在中间,小而不成形的耳朵就只能消除了。2、花期浇水施肥可使部分果粒脱落,起到疏果作用。根据需要可在早花期、盛花期、盛花期后期、谷...

三、葡萄拉穗疏果方法注意事项有哪些

6. 葡萄摘穗和修剪需在关键时期进行。开花前修整穗耳较为容易,而开花后则需注意大小簇的区分和处理。7. 花期浇水施肥可自然疏果。根据植物生长阶段进行水肥管理,有助于果实的早期脱落和后期增施氮肥,以增加谷子粒数。8. 葡萄膨大期需要适宜的温差,以及开花后的40天关键生长时期。此期间,要经历雨天...

葡萄拉穗疏果方法注意事项有哪些

四、红提葡萄拉穗时期应注意那些

拉穗途径:a、拉穗时间。开花前8-13天,花穗8-13cm长时,为最佳时间。b、药物及浓度。1克奇宝兑水35kg-45kg+必加2000倍液,均匀细致喷湿全株花穗、茎叶。气温高,浓度低;气温低,浓度高。一般于下午3时后使用效果佳。

五、如何让葡萄串拉直?

在温度拉长中,在花前7~15天,运用高温对葡萄果穗进行自然拉长,水肥拉长是在花前10~15天,通过浇水并冲施磷溶肥方法对葡萄膨果拉长,受温度的限制,作用慢,效果不显著。在使用调节剂对果实拉长中,运用赤霉素较多,但是花前不要对葡萄冲施高氮肥。葡萄花穗拉长技术,俗称“拉穗”或“拉花”。拉穗...

红提怎样修穗

注意:提子类葡萄不建议拉花序;易落花落粒品种、设施内高温高湿环境需避免拉穗;也可通过灌溉或施高氮肥自然拉长。修花序:根据市场需求修整花序形状,例如将过长花序剪短至合理长度,或去除侧枝使果穗呈圆柱形,提升商品性。二、开花后处理定粒定穗:坐稳果后(果粒直径约0.5cm),按每粒15克、每穗...

葡萄拉穗方法不对只能适得其反,应该如何正确拉穗?

连续下雨天,注意不要打弱者。不要增加剂量,大了穗会弯曲,茎会变硬。水果穗空等不良现象。喷雾器要很好地喷洒雾,整个树都要喷洒,尽可能地喷洒在水果穗上。目前拉穗多数使用奇宝浓度为4万至5万倍,一般在花穗七至十公分时使用,为了提高使用效果用药后及时灌水并施用适量速效氮肥。拉粒浓度提高...

红艳天葡萄怎样垃花穗?

3. 适合拉穗的葡萄品种包括:大果粒型品种,如红地球、美人指等;紧穗型品种,如红提等;坐果率高、花序较小的品种,如夏黑等。4. 不适合拉长花序的品种包括:坐果较差的品种,如巨峰等;坐果较好的品种但新梢生长较旺盛的,否则坐果不理想,果穗较松散,影响商品性。5. 在气候湿热的南方地区和设施...

黑葡萄拉穗什么时候好呢?要注意什么问题呢?

个别品种,果实保鲜必须在开花后进行,可喷施硼肥,提高座果率。拔耳管理的主要特点是相对安全,但速度慢,效果不明显,受外界条件特别是温度影响较大。施肥时间一般在开花前15天左右,淋施尿素和含有生物刺激剂的水溶性肥料,如海精灵生物刺激剂。问题是需要一些实践经验,开花前使用氮肥本身就有一定的风险...

请问葡萄拉花在散籽好还是在早一点

在萌芽后20--25天,开花前20天左右,一般是新梢长至6--7叶期,穗长7-10厘米,花蕾已分离但分离后不久。因为花蕾未分离拉穗易出现畸形,花蕾刚分离就拉则太长易落果,花蕾分离太久拉穗则不起什么作用,所以拉花时期要把握好

热点