果树上怎么补硼肥水施肥?

奥普乐农资2026-01-28 05:0781 阅读1 赞

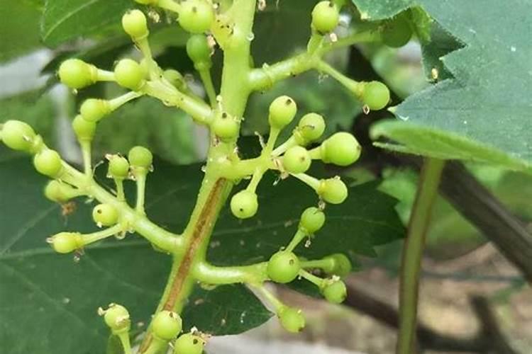
1、果树花期补硼、花后补钙,很多人补不对,还怒怼果子长得孬!

方法:以叶面喷施为主,选择吸收利用率高的硼肥,如硼酸或螯合硼。补钙时间与方法 全年周期性补钙:第一个重点期:谢花后幼果膨大前,叶面喷施2-3次钙肥。第二个重点期:幼果膨大期到成熟前1个月。额外补充:果实摘袋后到成熟前再喷施一次。方法:优先选择叶面喷施,钙肥需与硼肥搭配使用以促进吸收,但需避免元素拮抗问题,建议选用螯

果树花期补硼、花后补钙,很多人补不对,还怒怼果子长得孬!

2、果树施硼肥怎么操作?果树施硼肥有什么用?

一、果树施硼肥的操作方法 基施:施肥量:使用持力硼200~250克或硼砂500~1000克,也可根据树冠大小定量使用持力硼5~10克或硼砂20~40克。施肥时间:一般在采果后进行,也可在次年新叶萌发前施用。施肥方法:顺果树树冠滴水线开挖沟宽25厘米,深20厘米的圆形式半圆形沟,施入后覆土即可。叶面喷...

3、早春果树巧施硼锌肥

将硼肥、锌肥与有机物混合施入沟内,施肥后立即浇水,水干后覆土。用量:成年投产树:每株施硼肥、锌肥各50克。1~2年生果树:每株施硼肥、锌肥各25克,连续施2年后停1年,生长正常后停止施肥。花期叶面喷施 时间:果树开花期,花开50%时进行。方法:用0.5%的硼肥溶液对清水喷施花和叶片。效果:...

早春果树巧施硼锌肥

4、硼肥怎么施效果最好

选择适宜温度:果树叶片通过气孔吸收硼肥,而气孔开闭受温度影响显著。叶面喷施硼肥时,最适宜温度为17-23℃,此时温度越高,气孔开放数量越多,吸收率越高。若环境温度超过30℃,气孔会关闭,且水分蒸发加剧,易在叶片表面引发肥害。因此,夏季高温天气需在一早一晚喷施,避免高温时段操作。重点喷施叶背...

5、果树怎样施硼肥?

果树硼肥施用方法主要有根施和叶面喷施两种 基施 每亩用硼砂500-1000克(根据树冠大小定量),也可结合复混肥、有机肥一起施用。施用时间一般在采果后,顺果树树冠滴水线开挖沟宽25厘米,深20厘米的园形式半园形沟,施入后覆土即可。叶面喷施 叶面喷施碧卡硼肥,作物吸收快,效果好,施用也十分方便...

果树怎样施硼肥?

果树开花前不补硼,果农一年瞎忙活,硼肥有多重要?

叶面喷施:优先选用入水速溶的硼源库或小分子流体硼,可与磷酸二氢钾混用,避免硼砂因溶解慢导致的肥效损失。土壤施用:秋冬季每亩施用硼砂1-2公斤,或颗粒硼肥0.5-1公斤,持续补充土壤硼库。注意事项 避免过量:硼中毒阈值较低,过量会导致叶片边缘焦枯,需严格按推荐剂量使用。结合锌肥:缺硼果园常...

水果树木可以施硼肥吗?

盛果期的果树可以少量施用硼肥,最好是在施用有机肥时混合施用硼肥,每亩用量3-5斤。在果树盛花期(70%的花朵开放)喷洒300倍液的硼酸钠(硼砂),可以提高座果率。

果树安全施用硼肥有什么技术?

就会发生药害。其他果树也可采用同样方法施硼。喷施:果树施硼以喷施为主,喷施浓度:硼砂0.2%~0.3%水溶液,硼酸0.1%~0.2%水溶液。柑橘在春芽萌发展叶前及盛花期各喷一次;苹果在花蕾期和盛花期各喷一次;桃、杏和葡萄在花蕾期和初花期各喷一次;肥料溶液用量以布满树体或叶面为宜。

果树施硼肥怎么操作?果树施硼肥有什么用?

果树施硼肥的方法:一、基施

康仆硼肥叶面肥怎么兑水

康仆硼肥(或康朴硼肥)兑水比例建议为1克肥兑水15-20公斤,具体需结合作物类型调整。 作为常用硼元素叶面肥,这类产品主要用于补充作物开花结果期的硼元素需求。以下从实际应用角度展开说明: 一、基础兑水方法 1. 单包用量参考:市面常见20克小包装,建议兑水300-400公斤,即每克肥兑水15-20...

热点