葡萄拉穗喂多少氮肥最好?

奥普乐农资2025-12-28 01:4371 阅读3 赞

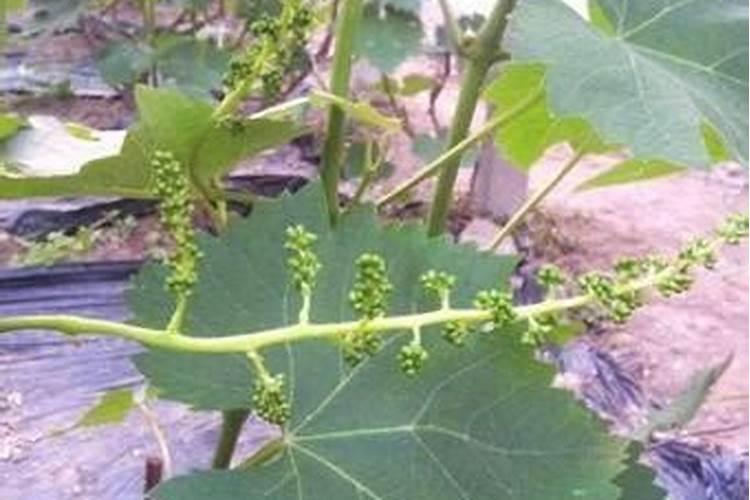
1、红提葡萄拉穗时期应注意那些

拉穗途径:a、拉穗时间。开花前8-13天,花穗8-13cm长时,为最佳时间。b、药物及浓度。1克奇宝兑水35kg-45kg+必加2000倍液,均匀细致喷湿全株花穗、茎叶。气温高,浓度低;气温低,浓度高。一般于下午3时后使用效果佳。

红提葡萄拉穗时期应注意那些

2、葡萄拉穗疏果方法 注意事项有哪些

3、葡萄的膨大不仅需要水肥,还需要温差。花枯萎后的温差时间约为40天。当炎热的桑拿日来临时,水果不喜欢生长。这短短的40天,还要经历雨天和套袋,雨天无光,葡萄不爱生长;刚套袋的葡萄要适应袋内的环境,葡萄不爱生长。葡萄疏果 1、最好在耳朵上方留一小段引流带,套在袋外,这样可以将雨水和...

葡萄拉穗疏果方法 注意事项有哪些

3、巨峰葡萄拉穗方法

拉长剂的选择和使用:得用对东西,20%赤霉素就是不错的选择。但记得,浓度可不能乱来哦!太高的话,花序会拉得太长,坐果后果穗松散,果梗还会硬化,那可就不美观啦,销售也会受影响的。使用时期要掐准:什么时候用拉长剂也是有讲究的。新梢长到25~75厘米,花序7-10公分长,也就是萌芽后20~...

巨峰葡萄拉穗方法

4、葡萄拉穂太长卷怎么办

反之,应配合施用适量的氮肥。果实着色期以磷钾肥为主。采果后施入适量的氮磷钾三元复合肥,促使果树体机能早恢复,防止早衰。葡萄是需钾较多的果树,施用钾肥时以硫酸钾为好。实践证明氯化钾施用后果皮厚,后味有涩麻感。应尽量少施或不施氯化钾。

5、克瑞森葡萄拉穗用什么肥料好呢

奇宝的使用方法是,首先在葡萄萌芽期进行叶面喷施,每克奇宝兑水30至45公斤。当花穗生长到约7厘米长时,进行全株喷施,每克兑水30至40公斤。这一过程有助于拉长花穗,促进果实横向生长。为了达到最佳效果,建议在葡萄园充分浇水后使用奇宝,并确保肥料供应充足。在幼果期,还可以通过配合使用保美灵...

克瑞森葡萄拉穗用什么肥料好呢

葡萄拉穗疏果方法注意事项有哪些

红宝石扰肢圆单重约5克,精品串约200粒。11. 传统修剪方法包括对称的两对小穗或三副耳的布局,根据穗型进行适当的疏果。12. 葡萄疏果的基本要求是确保内部无果,避免果实撑破袋子。通过以上葡萄拉穗疏果方法的详细介绍,种植者可以更好地掌握葡萄疏果技巧和注意事项,以期望收获优质的葡萄。

葡萄拉穗用啥药?什么时候用最佳?谢谢老师们回答

7-10cm长,用奇宝,在葡萄上上使用可拉长花穗和促进果实横向生长,也可促进芽的生长!在萌芽期叶面喷施,1g兑水30-45kg,在花穗7cm左右全株喷施,1g兑水30-40kg,可拉长花穗,在幼果期配合保美灵一起可膨果!在使用前,葡萄园要浇透水,肥料要充足。

巨峰葡萄拉穗方法

巨峰葡萄拉穗的方法主要包括以下几点:一、选择性拉长 巨峰葡萄的拉穗处理应有选择性地进行。对于树势较弱、枝条细弱、花序较小以及花序不够紧密的植株,不宜进行拉长处理,以免进一步削弱树势或影响花序的正常发育。二、拉长剂的选择和使用浓度 拉长剂一般选用20%的赤霉素。在使用时,务必注意控制浓度,不...

葡萄大小果严重用什么好方法解决

你好,葡萄大小粒的原因有很多,一水分要均匀,在开花期控制好水分;二氮肥过多引起其他营养元素失调,如锌肥硼肥;三挂果量少,枝条徒长,没有及时控梢;四花期遇到阴雨天气授粉差;五拉穗膨果时激素使用不当。在花穗7cm左右,喷施硼锌肥,7天一次,喷施2-3次,及时控梢,水分均匀。

热点